Çözüm Merkezi

0 364 333 0 333

Çorum Hava Durumu

Çorum

7°C parçalı az bulutlu

Çözüm Merkezi

0 364 333 0 333

Çorum Hava Durumu

Çorum

7°C parçalı az bulutlu

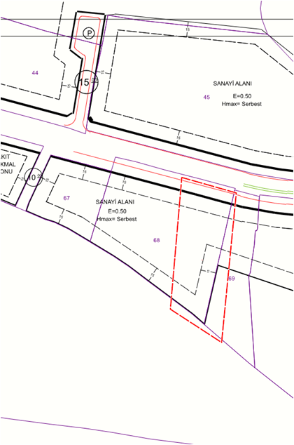
Köprüalan Köyü, 124 ada 68 ve 69 no’ lu parsellerde plan değişikliği

Köprüalan Köyü, 124 ada 68 ve 69 no’ lu parsellerde plan değişikliği

13 Şubat 2025 Perşembe


Köprüalan Köyü, 124 ada 68 ve 69 no’ lu parseller üzerinde işaretli bulunan yolun kaldırılarak bir kısmının sanayi alanına dahil edildiği ve söz konusu alan ve çevresinde planla kadastro arasındaki kayıklığın giderilmesi şeklinde plan müellifi tarafından hazırlanan 1/5000 Ölçekli Nazım İmar Planı (NİP: 191081867) 1/1000 Ölçekli Uygulama İmar Planı (UİP: 191081868) değişikliği teklifi, 3194 Sayılı İmar Kanununun 8/b maddesi gereğince, Meclisçe 07.02.2025 tarih ve 30 sayılı  belediye meclis kararı ile  OY BİRLİĞİYLE onanmıştır.

Onaylı uygulama imar plan değişikliği teklifi; 3194 sayılı İmar Kanunun 8/b maddesi gereğince 13.02.2025 tarihinden itibaren 1 ay süre ile Çorum Belediyesi, İmar ve Şehircilik Müdürlüğünde askı-ilana çıkarılmıştır.

Meclis kararına ulaşmak için  TIKLAYINIZ

İlgili Müdürlük

İmar ve Şehircilik Müdürlüğü

Kunduzhan Mahallesi, Farabi Caddesi, No: 22, Çorum Belediyesi Hizmet Binası B Blok, Kat: 3

0364 319 15 10

[email protected]

2022 - 2026 © Çorum Belediyesi Bilgi İşlem Müdürlüğü tarafından ❤️ ile tasarlanmıştır.

Hızlı Menü

Duyurular
Etkinlikler
Haberler
Vefat Edenler
Hızlı Menü

Çerez Bilgilendirmesi

İnternet sitemizden en verimli şekilde faydalanabilmeniz ve kullanıcı deneyiminizi geliştirebilmek için çerezler (cookie) kullanmaktayız. Bu web sitesini kullanarak çerezleri kullanmamıza izin vermiş olursunuz.