Çözüm Merkezi

0 364 333 0 333

Çorum Hava Durumu

Çorum

7°C parçalı az bulutlu

Çözüm Merkezi

0 364 333 0 333

Çorum Hava Durumu

Çorum

7°C parçalı az bulutlu

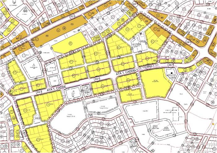
Bahçelievler Mah. Bahar Cad.(Bir Kısmı), Tepecik Mah. Ata 1.Cad. ve Ulukavak Mah. Özgürevler 1.Caddeye Yönelik İmar Planı Değişikliği

Bahçelievler Mah. Bahar Cad.(Bir Kısmı), Tepecik Mah. Ata 1.Cad. ve Ulukavak Mah. Özgürevler 1.Caddeye Yönelik İmar Planı Değişikliği

18 Kasım 2024 Pazartesi

Bahar Caddesinin bir kısmının, Ata 1. Cadde ve Özgürevler 1. Caddesine cepheli parsellerin yapı nizamı, kat adeti, TAKS, KAKS ve yapı yaklaşma mesafelerinde bir değişiklik yapılmadan plan fonksiyonunun Konut Alanı olarak değiştirildiği, plan hükmünün kaldırıldığı ve plan notlarına;

1- 652 ve 1815 no’lu adaların Bahar Caddesine cepheli parselleri için 04.04.2017 tarih 72 sayılı Belediye Meclis Kararıyla onaylanan plan hükümleri aynen geçerlidir.

2- Söz konusu bu planın kesinleşmesinden önce imar çapı almış ve resmi inşaat ruhsatı başvurusu yapmış olan parseller için istenilmesi durumunda önceki plan hükümlerine göre ruhsat düzenlenebilir. Şeklinde  plan müellifince hazırlanan 1/5000 Ölçekli Nazım İmar Planı (NİP: 191071646)ve 1/1000 Ölçekli Uygulama İmar Planı (UİP: 191071649) değişikliği teklifi 3194 Sayılı İmar Kanunun 8/b maddesi gereğince, Meclisçe 08.11.2024 tarih ve 124 sayılı karar ile OY BİRLİĞİYLE onanmıştır.

          Onaylı uygulama imar plan değişikliği teklifi; 3194 sayılı İmar Kanunun 8/b maddesi gereğince 18.11.2024 tarihinden itibaren 1 ay süre ile Çorum Belediyesi, İmar ve Şehircilik Müdürlüğünde askı-ilana çıkarılmıştır.

Meclis kararına ulaşmak için  TIKLAYINIZ

İlgili Müdürlük

İmar ve Şehircilik Müdürlüğü

Kunduzhan Mahallesi, Farabi Caddesi, No: 22, Çorum Belediyesi Hizmet Binası B Blok, Kat: 3

0364 319 15 10

[email protected]

2022 - 2026 © Çorum Belediyesi Bilgi İşlem Müdürlüğü tarafından ❤️ ile tasarlanmıştır.

Hızlı Menü

Duyurular
Etkinlikler
Haberler
Vefat Edenler
Hızlı Menü

Çerez Bilgilendirmesi

İnternet sitemizden en verimli şekilde faydalanabilmeniz ve kullanıcı deneyiminizi geliştirebilmek için çerezler (cookie) kullanmaktayız. Bu web sitesini kullanarak çerezleri kullanmamıza izin vermiş olursunuz.