Çerez Bilgilendirmesi
İnternet sitemizden en verimli şekilde faydalanabilmeniz ve kullanıcı deneyiminizi geliştirebilmek için çerezler (cookie) kullanmaktayız. Bu web sitesini kullanarak çerezleri kullanmamıza izin vermiş olursunuz.

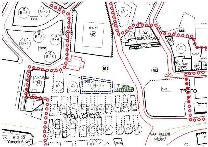
Kunduzhan Mahallesi,
368 no’lu yapı adasına yönelik olarak plan müellifi tarafından hazırlanmış teklif
ile ; yapı adasının bitişik nizam 3 kat ticaret alanı olarak işaretlendiği ve
plan notlarına;
- Saçaklar parsel sınırından 50 cm taşabilir.
- Zemin kat 5.50 metre yapılabilir.
- Saçak seviyesi hesaplanırken, zemin kat 5.50 metre yapılması durumunda zemin kat+üst katlar toplanarak belirlenecektir.
- İş yerlerinin su basman kotu, cephe verildiği yol hizasının kotuna göre belirlenir.(+0.00 kotu üzeri olması aranmaz.)
- Ada içerisindeki parsellerin tevhit edilmesi ve tek yapı yapılması durumunda 0.00 kotu Kunduzhan Caddesine bakan parsel cephesinin orta noktası alınacaktır.
- Ada içerisinde yapılmak istenen taşınmaz ile ilgili mimari proje Ankara Kültür Varlıklarını Koruma Bölge Kurulunda değerlendirilecektir.
- Belirtilmeyen hususlarda “Çorum(Merkez) 1/1000 Ölçekli Koruma Amaçlı İmar Planı Revizyonu” plan hükümlerine uyulması zorunludur. Şeklindeki
Ankara Kültür
Varlıklarını Koruma Bölge Kurulunun 04.09.2025 tarih 5769 sayılı kararı
ile uygun bulunmuş olan Koruma Amaçlı 1/1000 Ölçekli Uygulama İmar Planı (UİP: 191108775)
değişikliği teklifi, 3194 Sayılı İmar Kanununun 8/b
maddesi gereğince, Meclisçe 07.10.2025
tarih ve 146 sayı ile OY BİRLİĞİYLE
onanmıştır.
Onaylı uygulama imar
plan değişikliği teklifi; 3194 sayılı İmar Kanunun 8/b
maddesi gereğince 10.10.2025 tarihinden
başlamak üzere bir ay süre ile Belediye İmar ve Şehircilik 3.Kat ilan
panosunda ve belediyemiz internet sitesinde eş zamanlı olarak askı-ilana
çıkartılmıştır. İlgililere duyurulur.
Meclis kararına ulaşmak için TIKLAYINIZ
İlgili Müdürlük
Kunduzhan Mahallesi, Farabi Caddesi, No: 22, Çorum Belediyesi Hizmet Binası B Blok, Kat: 3
0364 319 15 10
Çorum İli, Merkez İlçesi, Karaca Köyü, 4213 ada, 1 no’lu parselin bir kısmına yönelik plan müellifi tarafından hazırlanan 1/5000 ölçekli Nazım İmar Planı ve 1/1000 ölçekli Uygulama İmar Planı değişikliği teklifi
İmar Uygulamaları14 Kasım 2025 Cuma
Çorum İli, Merkez İlçesi Ayarık Mahallesi, 4371 ada, 115 ve 116 no’lu parsellerin bir kısmına yönelik plan müellifi tarafından hazırlanan 1/5000 ölçekli Nazım İmar Planı ve 1/1000 ölçekli Uygulama İmar Planı değişikliği teklifi
İmar Uygulamaları14 Kasım 2025 Cuma
Çorum İli, Merkez İlçesi, Çöplü Mahallesi sınırları içerisinde bulunan 5313 ada,1 no’lu parsel ve yakın çevresine yönelik plan müellifi tarafından hazırlanan 1/5000 ölçekli Nazım İmar Planı ve 1/1000 ölçekli Uygulama İmar Planı değişikliği teklifi
İmar Uygulamaları14 Kasım 2025 Cuma
Çorum İli, Merkez İlçesi, Pınarçay Köyü, 192 ada, 82 no’lu parselin bir kısmına yönelik plan müellifi tarafından hazırlanan 1/5000 ölçekli Nazım İmar Planı ve 1/1000 ölçekli Uygulama İmar Planı değişikliği
İmar Uygulamaları14 Kasım 2025 Cuma
İlice Mahallesi 705 Ada 2 No’lu Parsel ve 4910 Ada 17 No’ lu Parsel İçin İmar Planı Değişikliği
İmar Uygulamaları30 Ekim 2025 Perşembe
Gülabibey Mahallesi 2610 ada, 10 no’lu parsel ve doğusuna yönelik plan değişikliği
İmar Uygulamaları15 Ekim 2025 Çarşamba
İnternet sitemizden en verimli şekilde faydalanabilmeniz ve kullanıcı deneyiminizi geliştirebilmek için çerezler (cookie) kullanmaktayız. Bu web sitesini kullanarak çerezleri kullanmamıza izin vermiş olursunuz.